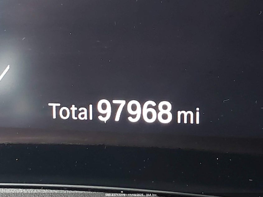
Автомобіль 2020 року — чудовий вибір для тих, хто цінує якість, надійність і вигоду. Компанія Royal Motors пропонує пригнати BMW 3 SERIES з США під ключ: ми перевіряємо авто за VIN (3MW5R1J08L8B21530), організовуємо доставку, розмитнення та за потреби — ремонт на власному СТО в Києві. Ця модель має колір Білий, працює на Бензин, оснащена двигуном 2.0 і приводом Задній привід. З Royal Motors ви отримуєте повністю перевірений автомобіль із прозорою історією та вигідною ціною.
UARU
