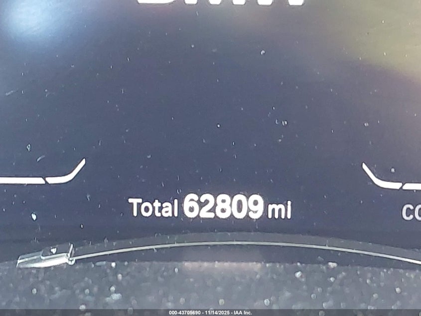
Автомобіль 2019 року — чудовий вибір для тих, хто цінує якість, надійність і вигоду. Компанія Royal Motors пропонує пригнати BMW X5 з США під ключ: ми перевіряємо авто за VIN (5UXJU2C51KLN65546), організовуємо доставку, розмитнення та за потреби — ремонт на власному СТО в Києві. Ця модель має колір Сірий, працює на Бензин, оснащена двигуном 4.4 і приводом Повний привід. З Royal Motors ви отримуєте повністю перевірений автомобіль із прозорою історією та вигідною ціною.
UARU
