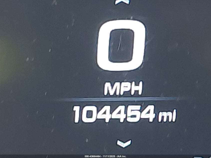
Автомобіль 2017 року — чудовий вибір для тих, хто цінує якість, надійність і вигоду. Компанія Royal Motors пропонує пригнати GMC YUKON з США під ключ: ми перевіряємо авто за VIN (1GKS2BKC0HR394200), організовуємо доставку, розмитнення та за потреби — ремонт на власному СТО в Києві. Ця модель має колір Білий, працює на Бензин, оснащена двигуном 5.3 і приводом Повний привід. З Royal Motors ви отримуєте повністю перевірений автомобіль із прозорою історією та вигідною ціною.
UARU

